Apple Pledges Donations to Relief Efforts Following Devastating Hurricane Melissa
Hurricane Melissa has caused unprecedented destruction across the western Caribbean, impacting countries such as Jamaica, Haiti, Cuba, and the Dominican Republic. According to reports from USA Today, the storm has resulted in at least 50 deaths and inflicted billions of dollars in damage.
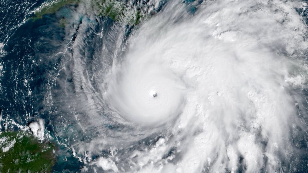
Imagery from NOAA’s GOES-19 Satellite has captured the massive scope of the hurricane’s impact, highlighting the urgent need for relief and recovery efforts in the affected regions.
In response to this disaster, Apple has announced it will donate to support relief efforts on the ground. CEO Tim Cook made the announcement in a post on X, reaffirming the company’s commitment to aiding communities in times of crisis.
For more detailed coverage, continue reading on AppleInsider or join the discussion on our forums.
https://appleinsider.com/articles/25/10/31/apple-commits-to-aid-following-hurricane-melissas-deadly-caribbean-impact?utm_source=rss

